Réf:

AG985-7284069

Publié le:

26 Nov 2025

property image
property image
property image
10

Local commercial à louer Noisiel (77186)

4 592 €

Surface

580 m2

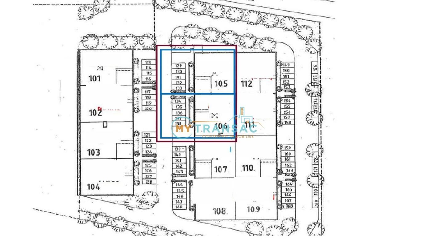
My Transac vous propose à la location 2 cellules d'activités d'une superficie totale de 580 m² divisible, situé sur la commune de Noisiel (77186)Prestations :Au total Lots 105-106 : 580m² : 466m² acti rdc et 114m² de bureauxLot 105 : 299m² : 259 acti rdc et 40m² de bureauxLot 106 : 281m² : 207 acti rdc et 74m² de bureauxHauteur libre sour poutre : 6 mRésistance au sol : 3 T/m²2 portes sectionnelles de plain-piedPlaces de parkings : 10Ossature métallique et bardage double peauToiture avec éclairage zénithal (skydômes)Bureaux cloisonnés et open-spaceChauffage par convecteurs électriquesPré-câblage informatique et téléphoniqueAccès gros et moyens porteursConditions financières :Loyer : 95 ?/m²/an HT HCCharges : 17 ?/m²/anTaxe foncière : 20,50 ?/m²/anTaxe bureaux : 5 ?/m²/anDépôt de garantie : 3 mois de loyer HT/HCPaiement : TrimestrielBail commercial 3/6/9 ansAccès :Autoroutes : A4, N104Transports en commun :RER A ? NoisielBus : Lignes 211, 100, 321

Installations

  • Parking (10)

Informations sur le Bien

Date de construction

-

Chauffage et diagnostics

Diagnostic de performance energétique (DPE)

N'a pas de classe spécifiée pour ce bien

Indice d'émission de gaz à effet de serre (GES)

N'a pas de classe spécifiée pour ce bien

Localisation

alert image

Vous ne trouvez pas encore le logement idéal ?

Recevez une notification par e-mail dès qu’un bien correspondant à vos critères est disponible.

Ce logement vous plaît ?

Contactez le agence

user photo

MY TRANSAC

6, rue D'Armaille

Demande d'information